Ärimaa Kunda linna serval – ideaalne asukoht Teie ettevõttele!
Müügile on tulnud tõenäoliselt parima nähtavusega ärimaa krunt Viru-Nigula vallas, Kunda linna serval. Kinnistu asub kohe Rakvere poolt linna sisse tuleva tee ääres, tagades erakordselt hea nähtavuse. Ideaalne võimalus ettevõtjale, kes otsib strateegilist ja silmapaistvat asukohta! Sobib ideaalselt nii teenindusettevõttele, kaubandusele kui ka majutusasutusele.
Kehtestatud detailplaneering ja kinnistule on määratud 100% ärimaa sihtotstarve (samuti on uue üldplaneeringu järgselt tegemist ärimaa juhtotstarbega alaga).
Detailplaneeringus määratud krundi ehitusõigus:
Maksimaalne hoonestusalune pind: 600 m²
Hoone kõrgus: kuni 9 m
Korruselisus: kuni 2 korrust
Hooneid: kuni 2
Planeeritud 14 parkimiskohta.
Lisaks:
* Tsentraalsed kommunikatsioonid kinnistu piiril, k.a gaas!
* Elektriliitumine: 3x20A olemas.
* Detailplaneering näeb ette juurdepääsuteele servituudi seadmist.
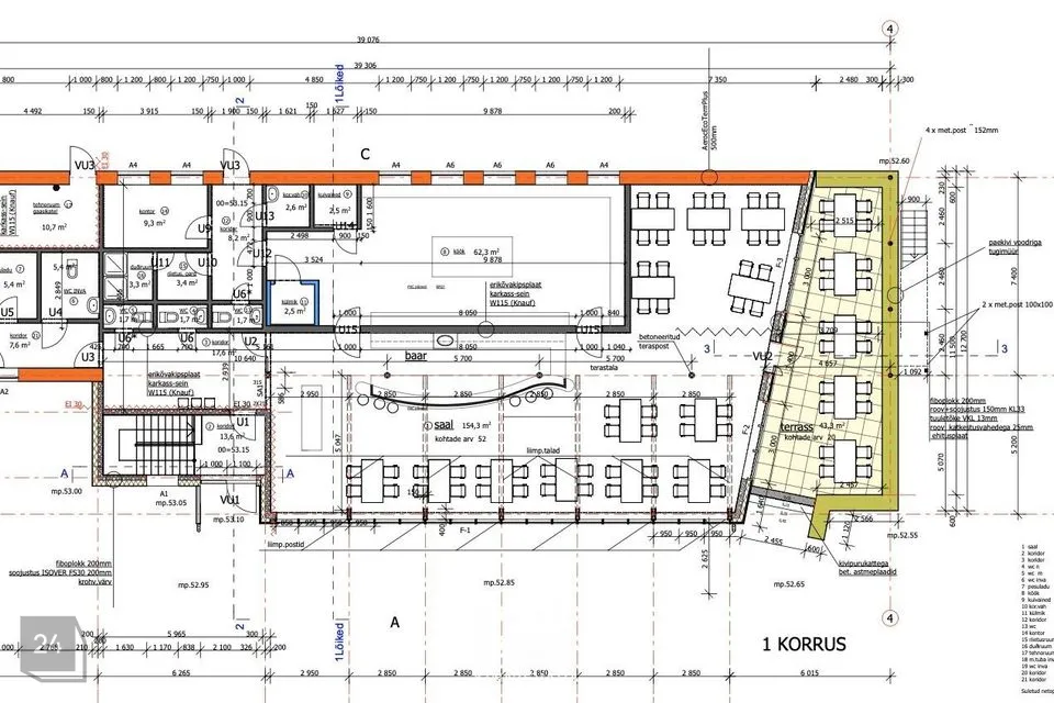
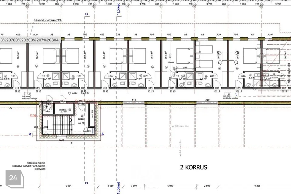
2016. aastal väljastati kinnistule ehitusluba 468 m² suuruse külalistemaja ehitamiseks. Kuigi ehitusluba on aegunud, saab ostja kaasa valmis projekti, mida on soovi korral võimalik värskendada ja ellu viia.
Võta ühendust ja küsi lisainfot – sellest võib saada Teie ettevõtte edu alus!
Müügile on tulnud tõenäoliselt parima nähtavusega ärimaa krunt Viru-Nigula vallas, Kunda linna serval. Kinnistu asub kohe Rakvere poolt linna sisse tuleva tee ääres, tagades erakordselt hea nähtavuse. Ideaalne võimalus ettevõtjale, kes otsib strateegilist ja silmapaistvat asukohta! Sobib ideaalselt nii teenindusettevõttele, kaubandusele kui ka majutusasutusele.
Kehtestatud detailplaneering ja kinnistule on määratud 100% ärimaa sihtotstarve (samuti on uue üldplaneeringu järgselt tegemist ärimaa juhtotstarbega alaga).
Detailplaneeringus määratud krundi ehitusõigus:
Maksimaalne hoonestusalune pind: 600 m²
Hoone kõrgus: kuni 9 m
Korruselisus: kuni 2 korrust
Hooneid: kuni 2
Planeeritud 14 parkimiskohta.
Lisaks:
* Tsentraalsed kommunikatsioonid kinnistu piiril, k.a gaas!
* Elektriliitumine: 3x20A olemas.
* Detailplaneering näeb ette juurdepääsuteele servituudi seadmist.
2016. aastal väljastati kinnistule ehitusluba 468 m² suuruse külalistemaja ehitamiseks. Kuigi ehitusluba on aegunud, saab ostja kaasa valmis projekti, mida on soovi korral võimalik värskendada ja ellu viia.
Võta ühendust ja küsi lisainfot – sellest võib saada Teie ettevõtte edu alus!
Kinnisvara hindamine ja kinnisvara müük Lahe Kinnisvara kutselistelt hindajatelt ja maakleritel, kes on pälvinud klientide kõrge tunnustuse!

























