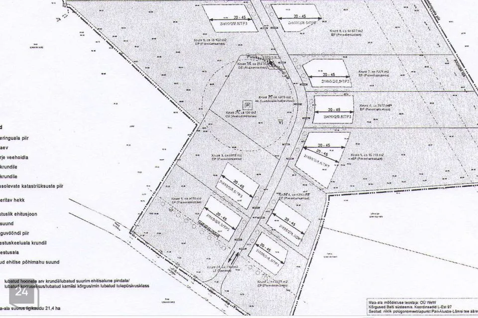
Vaid 9 km kaugusel Viljandi kesklinnast on müüa 9,35 ha maad. Kogu müüdav maa koosneb kaheteistkümnest eraldi kinnistust.
Kaheteistkümnest kinnistust üheksa, on planeeritud elamukruntideks ja kolm kinnistut on planeeritud tehnorajatistele ja kommunikatsioonide jaoks.
1. Andrese tee 17, 62901:002:0096, 12604 m²
2. Andrese tee 18, 62901:002:0109, 9683 m²
3. Andrese tee 19, 62901:002:0097, 13777 m²
4. Andrese tee 20, 62901:002:0113, 10265 m²
5. Andrese tee 21, 62901:002:0112, 6444 m²
6. Andrese tee 22, 62901:002:0098, 6024 m²
7. Andrese tee 23, 62901:002:0099, 6271 m²
8. Andrese tee 24, 62901:002:0114, 5799 m²
9. Andrese tee 26, 62901:002:0115, 15876 m²
10. Andrese tee 7, 62901:002:0100, 6375 m²
11. Andrese tee 7a, 62901:002:0101, 100 m²
12. Andrese tee 7b, 62901:002:0111, 282 m²
Pindala kokku: 93 500 m².
Detailplaneering on kehtestatud 20.12.2006.













