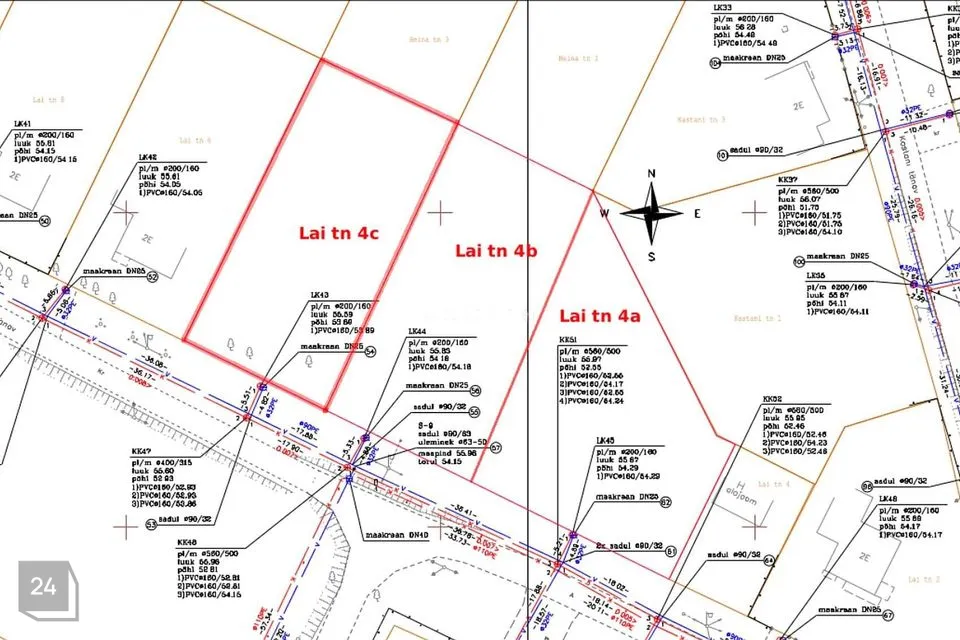
Kaasaegsete kommunikatsioonidega elamumaa krunt, kus vee ja kanalisatsiooni liitumispunktid on krundi piirile välja ehitatud.
Lisatud joonis.
Elamu ja abihoonete lubatud täisehitusprotsent krundil on 30%
- Telia sidekaabel on kinnistu piiril.
- Elekter saadaval ampritasu alusel
________________________________________________________
Tegeleme maade ja maavaldustega üle kogu Eesti ja seda juba rohkem kui paar aastakümmet.
Kõik küsimused maade osas on teretulnud.
Kui soovite müüa - pakkuge
Kui soovite osta, investeerida - nõustame
Kui soovite maad jagada või arendada - küsige nõu
Ka majade müügiga saame hakkama
***@***.ee

















