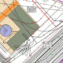
Tallinn-Keila maantee ääres, aadressil Männiku tee 13, Kumna, on müüa äri- ja tootmismaa suurusega 10 623 m².
Kinnistu andmed.
- Katastritunnus: 19801:001:3267
- Maa sihtotstarve:
10% ärimaa, 90% tootmismaa.
- Kinnistu suurus: 10623 m².
- Maksimaalne ehitusalune pind: 2000 m².
- Maksimaalne hoone kõrgus: 9 meetrit.
- Maksimaalne hoonete arv: 2 hoone.
Kommunikatsioonid asuvad kinnistu piiril, kuid liitumised puuduvad.
Kinnistul asub puurkaev.
Müügihind sisaldab käibemaksu.
Lisainformatsiooni saamiseks võtke meiega ühendust – huvi korral lepime kokku objektiga põhjalikuma tutvustamise.
RE Kinnisvara AS on tegutsenud 1995. aastast, olles üks vanimaid Eesti kinnisvaraettevõtteid.
Pakume kinnisvaraga seotud täisteenust:
- äri- ja elamispindade maaklerteenus
- kinnisvara hindamine laenu tagatiseks, sh kohtutele, finantsaruandluseks jne.
- äri- ja elukondlike arendusprojektide müügikorraldus
- kinnisvaraturu ja -projektide analüüs ja konsultatsioon
- kinnisvara seadustamine
Teeme koostööd kõigi Eesti pankade ja finantsasutustega. Meie eksperthinnangud on aktsepteeritud kõigi Eestis tegutsevate krediidiasutuste poolt.
Tutvu lähemalt re.ee.
RE Kinnisvara AS – PARIM OSA KINNISVARAST
Helista 66 88 666 või saada e-mail ***@***.ee
https://facebook.com/re.kinnisvara
https://www.instagram.com/rekinnisvara/
https://ee.linkedin.com/company/re-kinnisvara
Kinnistu andmed.
- Katastritunnus: 19801:001:3267
- Maa sihtotstarve:
10% ärimaa, 90% tootmismaa.
- Kinnistu suurus: 10623 m².
- Maksimaalne ehitusalune pind: 2000 m².
- Maksimaalne hoone kõrgus: 9 meetrit.
- Maksimaalne hoonete arv: 2 hoone.
Kommunikatsioonid asuvad kinnistu piiril, kuid liitumised puuduvad.
Kinnistul asub puurkaev.
Müügihind sisaldab käibemaksu.
Lisainformatsiooni saamiseks võtke meiega ühendust – huvi korral lepime kokku objektiga põhjalikuma tutvustamise.
RE Kinnisvara AS on tegutsenud 1995. aastast, olles üks vanimaid Eesti kinnisvaraettevõtteid.
Pakume kinnisvaraga seotud täisteenust:
- äri- ja elamispindade maaklerteenus
- kinnisvara hindamine laenu tagatiseks, sh kohtutele, finantsaruandluseks jne.
- äri- ja elukondlike arendusprojektide müügikorraldus
- kinnisvaraturu ja -projektide analüüs ja konsultatsioon
- kinnisvara seadustamine
Teeme koostööd kõigi Eesti pankade ja finantsasutustega. Meie eksperthinnangud on aktsepteeritud kõigi Eestis tegutsevate krediidiasutuste poolt.
Tutvu lähemalt re.ee.
RE Kinnisvara AS – PARIM OSA KINNISVARAST
Helista 66 88 666 või saada e-mail ***@***.ee
https://facebook.com/re.kinnisvara
https://www.instagram.com/rekinnisvara/
https://ee.linkedin.com/company/re-kinnisvara








